藤井寺・羽曳野・富田林の賃貸|クラストホーム > (事業用(賃貸))地域から探す > 天理市 > 天理市 新築複合施設PJ 借地

天理市 新築複合施設PJ 借地

天理市 新築複合施設PJ 借地

所在地 交通
奈良県天理市岩室町

近鉄天理線前栽」駅 徒歩11分

桜井線天理」駅 徒歩25分

近鉄天理線二階堂」駅 徒歩33分

物件情報

周辺施設

【外観】 | 天理市 新築複合施設PJ 借地

※写真や図と実際の現状とが異なる場合は現状を優先させていただきます

  • 【外観】 | 天理市 新築複合施設PJ 借地
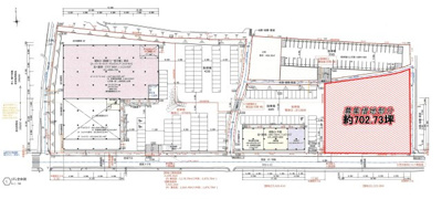
  • 【区画図】 | 天理市 新築複合施設PJ 借地

※ご覧になりたい写真をクリックすると
拡大されて表示されます。

コメント【外観】

情報の見方

天理市 新築複合施設PJ 借地 の物件概要

【事業用地】

所在地 奈良県天理市岩室町
交通
賃料 110万円 管理費・共益費 -
坪数/土地面積 702.73坪 / 2323.08㎡ 坪単価 0.16万円
土地権利 定期賃借権 種別 事業用地
地目/地勢 宅地 /-
取扱会社
  • クラストホーム 
  • 大阪府藤井寺市古室3丁目2-13 
  • TEL:072-931-3060
  • 大阪府知事 (2) 第60148号
  • 公益社団法人 全国宅地建物取引業保証協会

※地図上に表示される物件の位置は付近住所に所在することを表すものであり、実際の物件所在地とは異なる場合がございます。

天理市 新築複合施設PJ 借地 へのお問い合わせは クラストホーム まで

072-931-3060

〒583-0013

大阪府藤井寺市古室3丁目2-13 

8時30分~18時  定休日:毎週日曜日

お問い合わせ

天理市 新築複合施設PJ 借地の空き情報

賃料 管理費・共益費 坪単価 敷金/礼金/保証金/償却/敷引 土地面積 詳細 検討リスト
110万円 - 0.16万円 6ヶ月/ 0万円/ -/ -/ - 2323.08㎡ 詳細を見る 追加する

天理市 新築複合施設PJ 借地へのお問い合わせ

必要項目の入力

0/0
必須項目完了

確認画面へ
お進み下さい

0/0
必須項目完了

確認画面へ
お進み下さい

必須

お名前

必須

メールアドレス

任意

電話番号

任意

内容

【天理市 新築複合施設PJ 借地へのお問い合わせ】

利用規約及びプライバシーポリシーを必ずお読みください。左記内容に同意いただいた場合は、確認画面へお進み下さい。

未入力項目があります

▼ご希望の物件をお探しします
物件リクエスト

おすすめ物件

会社概要

会社画像
クラストホーム 
  • 〒583-0013
  • 大阪府藤井寺市古室3丁目2-13 
  • TEL/072-931-3060
  • FAX/072-931-3061
  • 大阪府知事 (2) 第60148号

トップへ戻る